އޮސްޓްރޭލިޔާގެ ހުޅަނގު ފަޅިޔަށް ބާރުގަދަ ތޫފާނެއް އަރައިފި
ތޫފާނުގައި ގަޑިއަކު 218 ކިލޯމީޓަރުގެ ބާރުމިނުގައި ވައިޖެހުނު ކަމަށް ރިކޯޑުތަކުން ދައްކާ


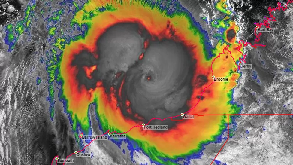
އޮސްޓްރޭލިޔާގެ އައްސޭރި، ތޫފާނުގެ ސެޓަލައިޓް ފޮޓޯއެއް
އޮސްޓްރޭލިޔާގެ ހުޅަނގު ފަޅިއަށް އާދަޔާޚިލާފު ގަދަވަޔާއެކު ބާރުގަދަ ތޫފާނެއް ބުރާސްފަތި ދުވަހުގެރޭގެ ދަންވަރު އަރައިފިއެވެ. ޓްރޮޕިކަލް ސައިކްލޯން އިލްސާގެ ނަމުން ނަންދީފައިވާ މި ތޫފާން އަރާފައިވަނީ ކެޓަގަރީ ފަހެއްގެ ތޫފާނެއްގެ ގޮތުގައެވެ. ޕޯޓް ހެޑްލަންޑްއާ ކައިރި ހިސާބުތަކަށް ތޫފާން އަރާފައިވާއިރު މި ހިސާބަކީ ދުނިޔޭގައި ވެސް ވާ އަޔަންއޯ އެކްސްޕޯޓް ކުރާ އެންމެ ބޮޑު ހަބެވެ. މި ތޫފާނަކީ ފާއިތުވި ސާދަވަރަކަށް އަހަރުތެރޭ ވެސް އޮސްޓްރޭލިޔާގެ ހުޅަނގު ފަޅިއަށް އެރި އެންމެ ބާރުގަދަ ތޫފާން ނަމަވެސް ތޫފާނުގެ ސަބަބުން މީހުން ދިރިއުޅޭ ހިސާބުތަކަށް މާބޮޑަށް ގެއްލުންވެފައިނުވާކަމަށް ޚަބަރު ލިބެއެވެ.
ޕޯޓްހެޑްލަންޑްގެ މޭޔަރު ސިފަކުރައްވާފައިވާ ގޮތުގައި ތޫފާނުގެ ވައި އަރައިގެން އައި އަޑު އިވުނީ ވަރަށް އާދަޔާޚިލާފު ގޮތަކަށެވެ. އަދި ހީވީ މުދާ އުފުލާ ރޭލެއްގެ ސައިރަންގެ އަޑުހެން ކަމުގައި މޭޔަރު ވިދާޅުވިއެވެ. ތޫފާން ލައިގަތް ވަގުތު އައްސޭރިފަށުގައިވާ ބެޑްއައުޓް ޖަޒީރާއަށް ގަޑިއަކު 218 ކިލޯމީޓަރުގެ ބާރުމިނުގައި ވައިޖެހުނު ކަމަށް ރިކޯޑުކުރެވިފައި ވެއެވެ. މިހިސާބަށް ކުރިން އެންމެ ގަދަޔަށް ވައި ޖެހިފައިވަނީ ގަޑިޔަކު 194 ކިލޯމީޓަރުގެ ބާރުމިނުގައި ކަމަށް ވެއެވެ.
އޮސްޓްރޭލިޔާގެ އުތުރުގެ ހިސާބުތަކަށް ތޫފާން އެރުމަކީ އާންމު ކަމެއް ނަމަވެސް މިހިސާބަށް ތޫފާން އެރުމަކީ އެހާ އާންމު ކަމެއް ނޫނެވެ.
ތޫފާން އަރަން އުޅޭކަން އެނގި ޕޯޓް ހެޑްލަންޑުގެ ބަނދަރުން ބޮޑެތި ބޯޓުތައް އެހެން ހިސާބުތަކަށް ގެންގޮސްފައި ވެއެވެ. އަދި އާންމުންގެ މުދަލާއި ގެދޮރު ސަލާމަތް ކުރުމަށް ވެލިބަސްތާ ޖެހުންފަދަ މަސައްކަތްތައް ކޮށްފައި ވެއެވެ.
ތޫފާނުގެ ވައި ހޮނިހިރު ދުވަހު މަޑުވާނެ ކަމަށް ވަނީ ލަފާކޮށްފައެވެ.







